Taifunul "Halong" devine unul dintre cele mai puternice văzute vreodată de un satelit
alte articole

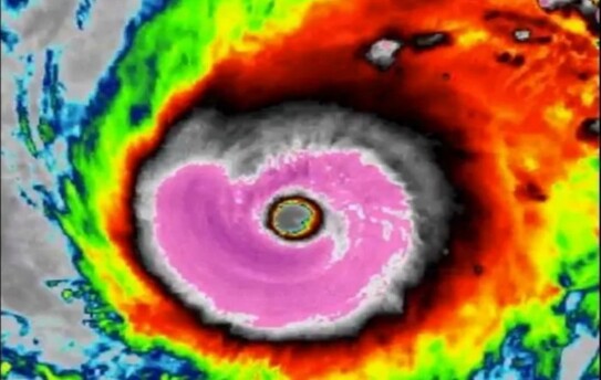
În doar trei zile, taifunul Halong şi-a crescut intensitatea de la depresiune (atmoserică) tropicală la uragan de categoria 5, în timp ce călătoreşte peste vestul Oceanului Pacific, în apropiere de Tropicul Racului.
Meteorologul american, Michael Lowry, afirmă că Halong a devenit unul dintre cele mai puternice taifunuri observate vreodată de un satelit la nivel mondial din 1979, anul în care au început astfel de înregistrări.
Lowry a explicat că, deşi este un eveniment natural extrem, acesta nu reprezintă un pericol în acest moment.
În timpul intensităţii sale maxime, comparabilă cu cea a uraganului devastator Dorian, taifunul a înregistrat rafale de vânt de aproape de 300 de kilometri pe oră.
Halong a început să-şi piardă forţa în ultimele ore. În momentul de faţă a coborât până la categoria 2 şi prezintă vânturi de 165 de kilometri pe oră.